Comparte si te a Gustado:AL FILO DE LAS NOTICIAS SANTO DOMINGO.- El presidente Luis Abinader y la vicepresidenta Raquel Peña encabezaron la noche de este lunes una reuniónLeer mas..
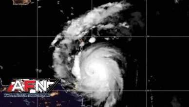
Comparte si te a Gustado:AL FILO DE LAS NOTICIAS SANTO DOMINGO.- El «potencialmente catastrófico» huracánBeryl escaló a la categoría 5 en el este del mar Caribe,Leer mas..
Comparte si te a Gustado:AL FILO DE LAS NOTICIAS SANTIAGO.- La Policía Nacional aclaró que el fallecimiento de Delbis Bienvenido Rodríguez Pichardo resultó conLeer mas..
Comparte si te a Gustado:AL FILO DE LAS NOTICIAS WASHINGTON.- La decisión del Tribunal Supremo de Estados Unidos de conceder una inmunidad parcial a DonaldLeer mas..
Comparte si te a Gustado:AL FILO DE LAS NOTICIAS DAJABÓN.- Agentes de la División de Investigaciones Criminales (Dicrim) ocuparon un arma sin documentosLeer mas..
Comparte si te a Gustado:AL FILO DE LAS NOTICIAS SANTO DOMINGO.- Los acumulados de lluvias esperados como consecuencia del poderoso huracán Beryl, de categoría 4, pueden alcanzarLeer mas..
Comparte si te a Gustado:AL FILO DE LAS NOTICIAS SAN FRANCISCO DE MACORIS.- Dos mujeres fueron detenidas por las autoridades policiales luego de quéLeer mas..
Comparte si te a Gustado:AL FILO DE LAS NOTICIAS PANAMA.- El presidente Luis Abinader se reunió este lunes con su homólogo electo de Panamá, José RaúlLeer mas..